Na Głębokie wracają światła
Robert Duchowski

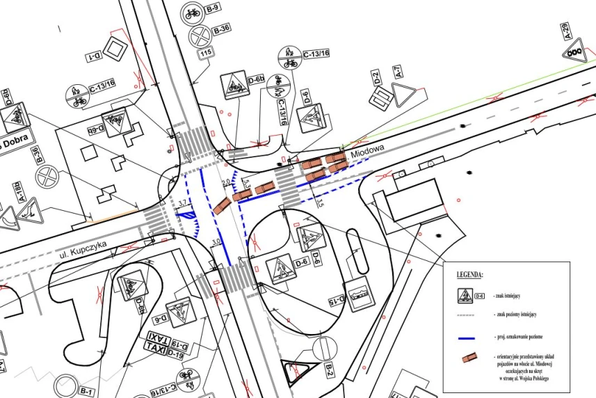
W najbliższy piątek o godz. 21 rozpocznie się wprowadzanie zmian w organizacji ruchu na skrzyżowaniu al. Wojska Polskiego z ul. Zegadłowicza, Miodową, i Kupczyka, związanych z włączeniem sygnalizacji świetlnej.
Ze skrzyżowania zniknie minirondo, wprowadzone tam na okres jesienno – zimowy i ponownie włączona zostanie sygnalizacja świetlna. Ma to związek ze zwiększonym ruchem pieszych i rowerzystów w tym rejonie w okresie letnim.
Jednocześnie, aby zwiększyć przepustowość skrzyżowania dla samochodów, w ramach wprowadzanych zmian nastąpi dodatkowa korekta oznakowania poziomego na wlocie ul. Miodowej. Pas ruchu zostanie tam poszerzony tak, aby możliwe było ustawienie pojazdów w dwóch rzędach, odpowiadających dalszemu kierunkowi jazdy – na wprost i w prawo lub w lewo. Dzięki temu pojazdy czekające na wykonanie manewru skrętu w al. Wojska Polskiego nie będą blokować pojazdów zmierzających w stronę ul. Kupczyka i ul. Zegadłowicza. Zmiana ta ma skrócić czas przejazdu od strony ul. Miodowej.
W związku z wprowadzanymi zmianami prosimy kierowców o zachowanie szczególnej ostrożności w piątkowy wieczór oraz pierwsze dni po włączeniu sygnalizacji świetlnej. Rejon skrzyżowania będzie na bieżąco monitorowany przez służby.
W załączniku przesyłamy plan skrzyżowania z zapowiadanymi zmianami.
